中年|人们看见此物就远离,但用此物泡脚好处太多了
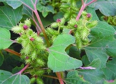
苍耳子,中药名。别名:虱马头、苍耳子、老苍子、道人头、刺八裸、苍浪子、绵苍浪子、羌子裸子、青棘子、抢子、痴头婆,胡苍子、野茄、猪耳、菜耳,苍苍子,广东话又叫磁头芒(痴头芒)。属菊科、苍耳属一年生草本菊科植物苍耳的带总苞的果实,苍耳子属于常用中草药,具有散风除湿通窍等功效。在平原、丘陵、低山、荒野、路边、沟旁、田边、草地、村旁等处,生长着一种植物,人们看见它就远离他,因为它扎人疼痛。但是你知道吗,它有很多好处呢!
文章插图
它叫苍耳子,属于一种祛风湿中药,能治风寒头痛,鼻渊,齿痛,风寒湿痹,四肢挛痛,疥癞,瘙痒等症
文章插图
久坐容易出现腰肌劳损,长途司机和上班族最常见,用苍耳泡脚,每次20分钟,连续泡3-5天就能有很好的改善。
文章插图
天气一冷,鼻炎就非常难受,鼻塞流鼻涕,不仅尴尬,而且影响健康,用苍耳子泡脚,连续泡一周鼻炎就有很好改善。
文章插图
秋天上火很容易引发咽喉肿痛,用苍耳泡脚,能祛除虚火,消除咽喉肿痛,配合艾草泡脚效果更好。用它泡脚的好处这么多,赶紧泡起来吧!
推荐阅读
- 高血压能喝普洱茶吗
- 喝酒后咳嗽怎么办呢
- 胆固醇比较高吃什么好?
- 脱发吃什么有效果呢
- 胃痛可以喝啤酒吗
- 血糖高吃什么菜好呢
- 体质虚弱吃什么补呢
- 有什么水果可以降血糖
- 皮肤过敏能吃海虾吗
- 糖尿病人能吃牛奶吗
